Generationenwohnen - Einfamilienhaus + Bauland für ein Doppelhaus
| Details | |
|---|---|
| Objekttyp | Einfamilienhaus |
| Ort | Chlosterweg 2 5236 Remigen |
| Anzahl Zimmer | 7.5 |
| Wohnfläche | 275m2 |
| Baujahr | 1989 |
| Kaufpreis | CHF 1'950'000 |
| Infrastruktur | |
|---|---|
| Distanz Kindergarten | 0.4 km |
| Distanz Primarschule | 0.4 km |
| Distanz Oberstufe | 5.6 km |
| Distanz Gymnasium | 8.2 km |
| Distanz Einkaufsmöglichkeiten | 0.3 km |
| Distanz Zentrum | 0.3 km |
| Distanz öff. Verkehr | ca. 500 m |
| Distanz Autobahn | 19.8 km |
Grosszügiges Generationenhaus mit Bauland – seltene Gelegenheit für Familien & Investoren
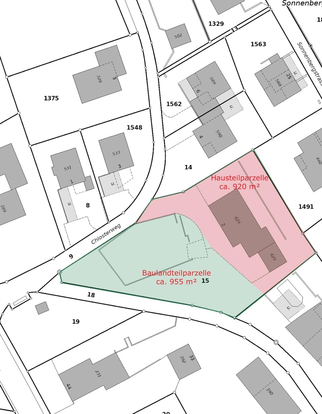
Dieses einzigartige Anwesen verbindet Wohnkomfort, Aussicht und Entwicklungspotenzial. Auf einem grossen Grundstück von 1'876 m² erwarten Sie ein charaktervolles Einfamilienhaus mit ca. 275 m² Wohnfläche sowie zusätzliches Bauland für ein Doppeleinfamilienhaus – ideal für Generationenwohnen, Wohnen & Arbeiten oder ein attraktives Immobilienprojekt.
Der wunderschöne Weitblick über die Hügel schafft eine ruhige und naturnahe Wohnatmosphäre.
Highlights
- Imposantes Grundstück mit zusätzlichem Bauland
- Weitblick ins Grüne
- Vielseitige Nutzungsmöglichkeiten
- Grosszügige Wohnflächen über drei Etagen
- Werkstatt, mehrere Kellerräume, Schutzraum
- Terrasse, Balkone und direkter Gartenzugang
- Vielfältige Parkierung (Duplex-Garage, 2 Einzelgaragen, 6 Aussenplätze)
Raumangebot
Erdgeschoss
Entrée, Badezimmer mit Dusche, vielseitiges Zimmer, zwei Keller, Schutzraum, Technikraum, Werkstatt (ca. 40 m²) mit separatem Eingang.
Obergeschoss
Balkon über gesamte Front, grosse Terrasse mit Gartenzugang, Wohn-/Essbereich mit Kachelofen und Sitzkunst, Cheminée-Zimmer, Landhausküche mit TIBA-Herd, Wirtschaftsraum, Schlafzimmer, weiteres Zimmer, Bad mit Dusche & Badewanne.
Dachgeschoss
Drei Zimmer, grosszügiger Vorplatz, isoliertes Estrichzimmer (ausbaubar zur Küche, Anschlüsse vorhanden), Bad mit Dusche, Balkon mit Bergsicht.
Eine Liegenschaft dieser Grösse, Lage und Flexibilität ist äusserst selten. Ideal für Familien, Visionäre oder Investoren.
Kontaktieren Sie uns noch heute und bestellen Sie das detaillierte Verkaufs-Exposé – dieses Objekt sollten Sie nicht verpassen.
Ihr Ansprechpartner
Nicole Steffan
Ich wünsche ein ausführliches Exposé
